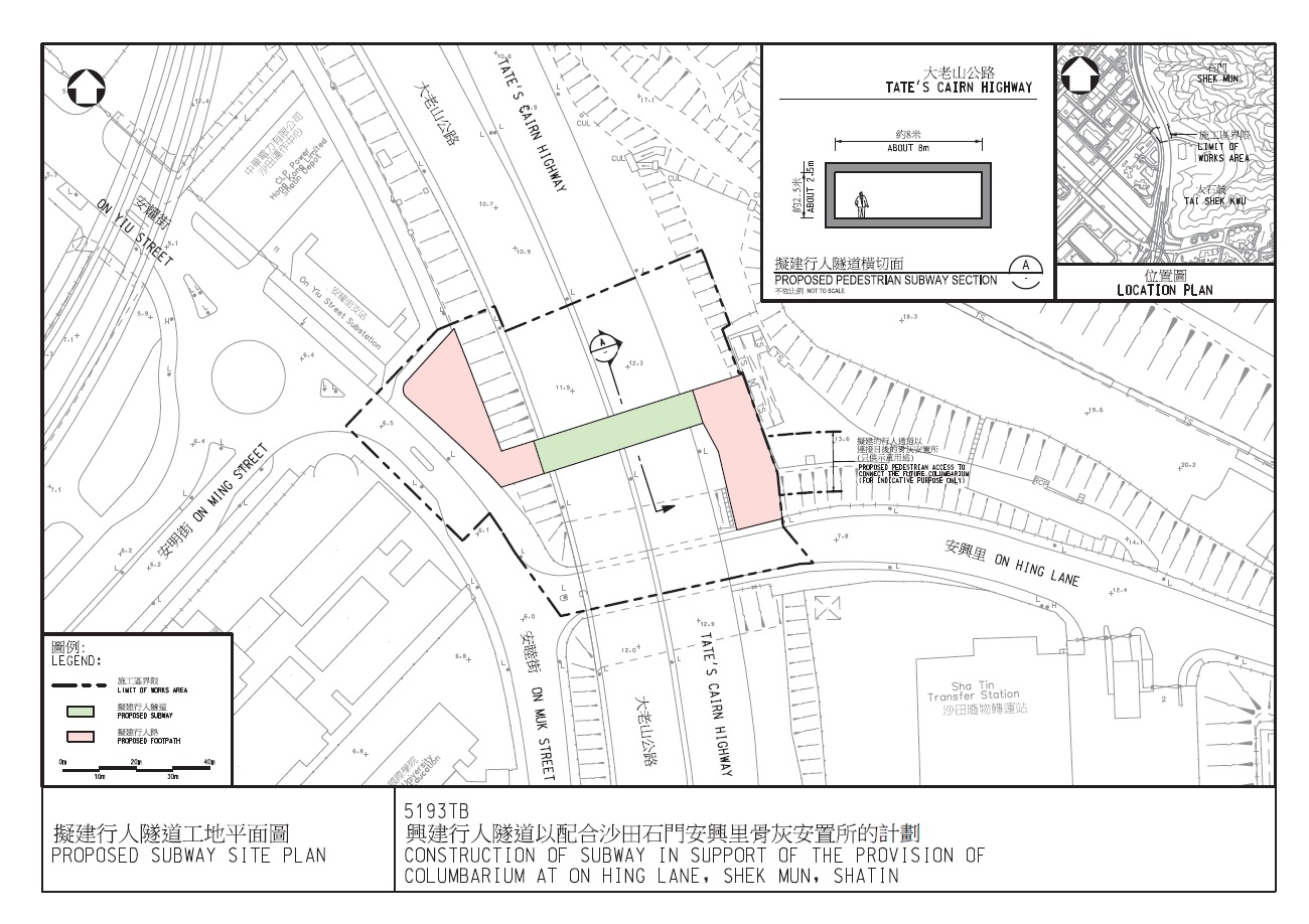
興建行人隧道以配合沙田石門安興里骨灰安置所計劃
項目編號:
5193TB工程範圍簡介:
( a ) 在大老山公路下方建造1 條約50 米長及內部闊8 米的行人隧道,連接安睦街和骨灰安置所;
( b ) 在行人隧道兩端提供行人路和合適的人流集散處;
( c ) 提供隧道照明、排水及其他必需設施; 以及
( d ) 提供無障礙通道、景觀美化工程及其他附屬設施。
土木工程拓展署項目辦公室:
土木工程處 / 土地工程部項目顧問:
科進 (亞洲) 有限公司目前進度:
工程已於2021年1月20日展開。
合約:
| 合約編號: | CV/2020/02 |
| 工程範圍: | 如上述工程範圍簡介 |
| 合約總價: | 1億4,915 萬元 |
項目承建商:
永達土木工程有限公司
