兴建行人隧道以配合沙田石门安兴里骨灰安置所计划
项目编号:
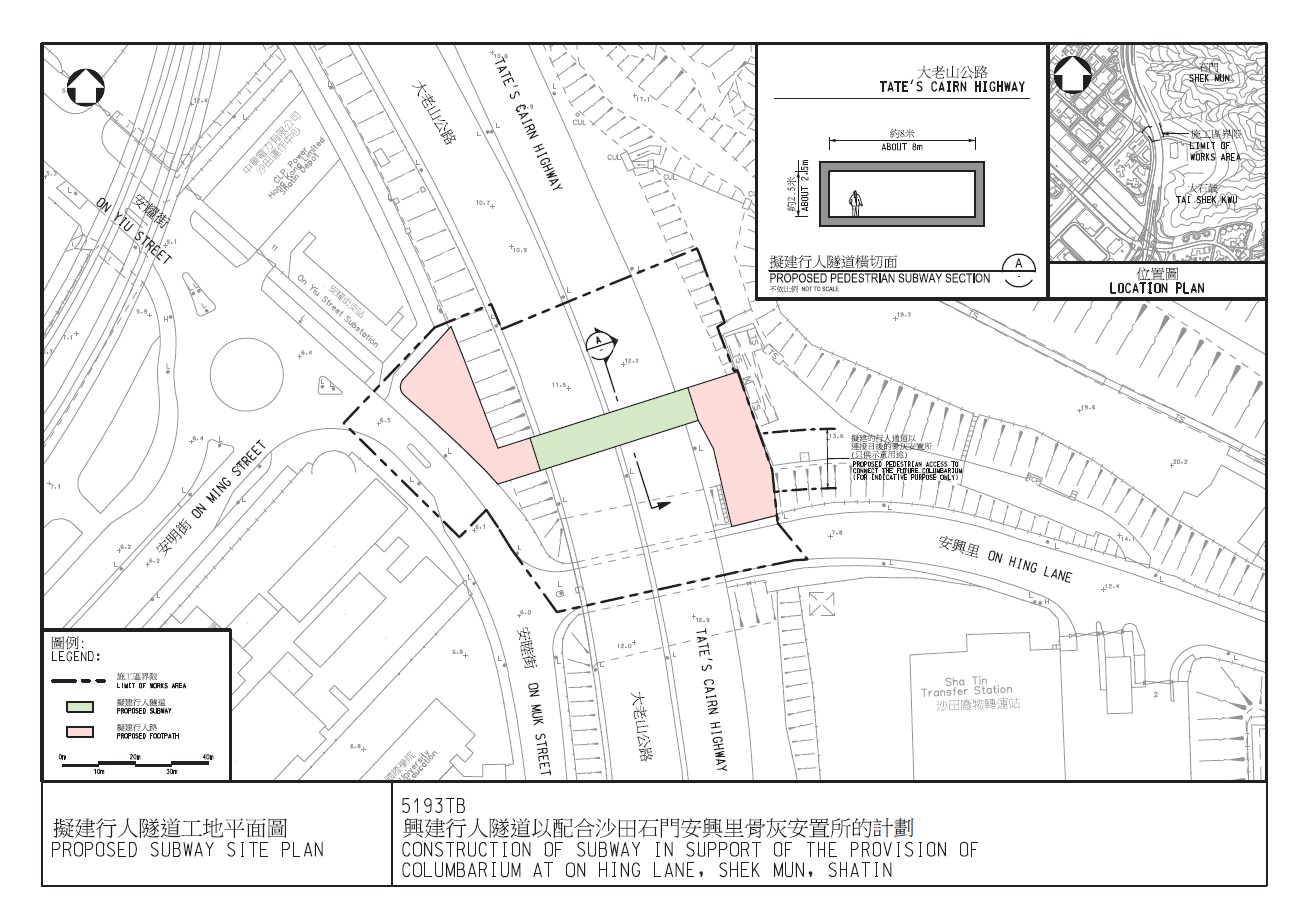
5193TB工程范围简介:
( a ) 在大老山公路下方建造1 条约50 米长及内部阔8 米的行人隧道,连接安睦街和骨灰安置所;
( b ) 在行人隧道两端提供行人路和合适的人流集散处;
( c ) 提供隧道照明、排水及其他必需设施; 以及
( d ) 提供无障碍通道、景观美化工程及其他附属设施。
土木工程拓展署项目办公室:
土木工程处 / 土地工程部项目顾问:
科进 (亚洲) 有限公司目前进度:
工程已于2021年1月20日展开。
合约:
| 合约编号: | CV/2020/02 |
| 工程范围: | 如上述工程范围简介 |
| 合约总价: | 1亿4,915 万元 |
项目承建商:
永达土木工程有限公司
