Construction of Subway in support of the Provision of Columbarium at On Hing Lane, Shek Mun, Sha Tin
Project Number:
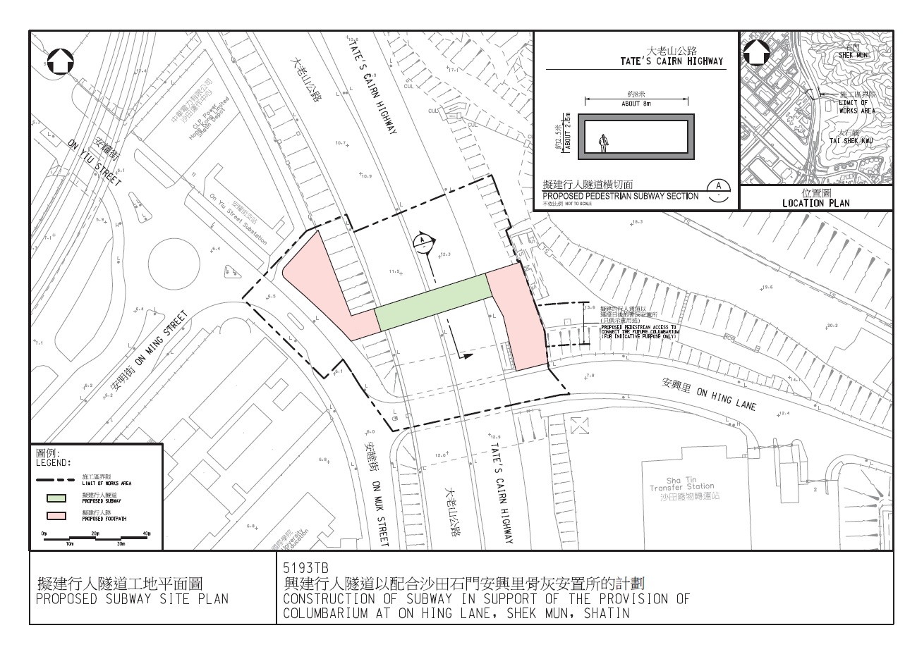
5193TBBrief Description of Project Scope:
(a) construction of a subway of about 50 metres long with eight metres internal width underneath and
across Tate's Cairn Highway connecting On Muk Street and the columbarium;
(b) provision of footpaths at both ends of the subway with suitable queuing areas;
(c) provision of lighting, drainage and other necessary services for the subway; and
(d) provision of barrier-free access, landscaping works and ancillary facilities.
Project Office in Civil Engineering and Development Department:
Civil Engineering Office / Land Works DivisionConsultant:
WSP (Asia) LimitedCurrent Progress:
Construction commenced on 20 January 2021.
Contract:
| Contract No. | CV/2020/02 |
| Scope | Same as project scope |
| Contract Sum | $149.15 million |
Contractor:
Wing Tat Civil Engineering Co. Limited
